Bazalna lamina

Izvor: Hrvatska internetska enciklopedija
Inačica 246096 od 23. listopad 2021. u 07:39 koju je unio WikiSysop (razgovor | doprinosi) (Bot: Automatski unos stranica)
(razl) ←Starija inačica | vidi trenutačnu inačicu (razl) | Novija inačica→ (razl)
Prijeđi na navigaciju Prijeđi na pretraživanje
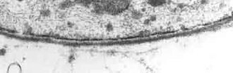
Datoteka:Basal lamina.jpg
Transmisijski elektronski mikrograf s prikazom bazalne lamine poravnate se vanjskom površinom stanične membrane.

Bazalna lamina (lat. lamina basalis, TH: H2.00.00.0.00006) je sloj izvanstanične matrice u bazalnoj stijenci, u stijenci stanice epitela je bazalna stijenka. Derivat je epitela, čije ga stanice izlučuju. Epitel leži na tom sloju.

Vidljiva je isključivo elektronskim mikroskopom. Izgleda kao elektronski gusti sloj debel 20-100 nm, uz neke iznimke koje su deblje, kao bazalna lamina plućne alveole i bubrežnog glomerula.

Tvori ju mreža tankih vlakanaca koje nazivamo lamina densa. Mogu i s jedne ili obje strane lamine denese imati i svjetliji sloj - lamina rara. Bazalna lamina je izgrađena od kolagena tipa IV, laminina i proteoglikana (heparan-sulfat). Glavni sastojak je glikoprotein laminin.[1]

Bazalna je lamina pričvršćena na vezivno tkivo s donje strane pomoću sidrenih vlakanaca građenih od kolagena tipa VII i snopova mikrofibrila.

Uloga bazalne lamine je selektivna barijera. Potrebna je za uzajamno djelovanje stanice, te pri njihovom razmještanju i gibanju. Bazalnu laminu često pogrešno poistovjećuju s bazalnom membranom, iako je zbilja dijelom te membrane: gradivna je tvar bazalne membrane. Dvije bazalne lamine mogu tvoriti jednu tu membranu, ili kombinacija od jedne bazalne lamine i retikularne lamine, koja se razlikuje od bazalne lamine po tome što je derivat stanica vezivnog tkiva.

Uz bazalnu laminu prilježe bazalni pol epitelnih stanica. On je kod većine epitelnih stanica građen gotovo jednako jer služi istoj svrsi - izmjeni tvari.

Izvori

  1. laminin, Struna - Hrvatsko anatomsko i fiziološko nazivlje. Polje: temeljne medicinske znanosti, grana: fiziologija čovjeka, projekt: Hrvatsko stomatološko nazivlje (pristupljeno 25. lipnja 2016.)